GIARDINAGGIO

Come sbarazzarsi dei moscerini delle piante in casa

LEGGI IN 2'
I moscerini delle piante sono davvero fastidiose, sia che abbiano puntato la tua frutta sia che abbiano invaso il tuo angolo verde in casa.

Può succedere che la tua fruttiera, soprattutto se la tieni fuori, su un mobile della cucina o un una zona calda, si popolata di moscerini, ovvero minuscole mosche a due ali che in genere compaiono in grandi quantità, oltre che nella frutta anche nelle piante indoor. Ma non temere, ci sono numerosi modi per impedire che appaiano in primo luogo, ma anche per sbarazzarsene.

Non esagerare con le tue piante. Uno dei motivi per cui potresti riscontrare un afflusso di moscerini che sciamano intorno alle tue piante è dovuto all'eccesso di irrigazione. Per evitare di farlo, assicurati che il terreno della tua pianta sia asciutto prima di bagnarla nuovamente.

Il vaso deve avere un adeguato drenaggio. Allo stesso modo di evitare di innaffiare eccessivamente le piante, dovresti anche assicurarti che il suo vaso abbia un drenaggio adeguato, altrimenti i moscerini possono deporre le uova che poi si disperderanno nel terreno della pianta. E non è sicuramente quello che stai cercando.

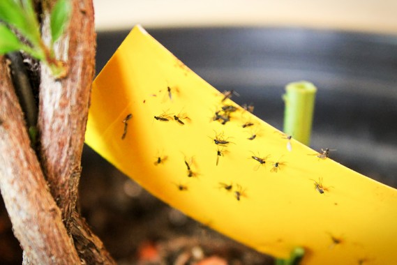
Prepara trappole per catturare i moscerini. Una volta trovato anche un moscerino nella tua pianta, è tempo di passare alle trappole per cercare di catturarli. Prova i seguenti consigli:

  • Usa un dispositivo cattura mosche con luci a LED e ventole
  • Usa una trappola per moscerini appiccicosa fatta di piccoli fogli di carta giallo brillante, che attireranno gli insetti.
  • Mescola diverse gocce di detersivo liquido per piatti con una tazza piena di aceto bianco in una ciotola e mettila vicino alle tue piante.
  • Taglia le patate a pezzetti e lasciale (con la polpa) sul terreno della tua pianta.
  • Rinvasa la tua pianta, se necessario

Ti potrebbe interessare anche:

Iscriviti alla newsletter di donnad

Leggi tanti nuovi contenuti e scopri in anteprima le iniziative riservate alla community.